Înalta Curte de Casație și Justiție a decis miercuri, 16 februarie, rejudecarea cazului pentru anularea deciziei etapei de încadrare pentru proiectul hidro Bumbești-Livezeni.
Asociațiile de mediu Bankwatch România și AgentGreen au arătat instanței că etapa de încadrare, o procedură de mediu de bază pentru aprobarea proiectelor, nu a fost emisă legal. În decembrie 2017, pentru același proiect, Curtea de Apel a anulat autorizațiile de construire având în vedere lipsa evaluărilor de mediu prevăzute de lege.
Organizațiile de mediu au motivat că etapa de încadrare nu poate fi realizată pentru 10% din proiect, cât mai rămăsese de realizat la momentul anulării celor două autorizații în 2017, ci este obligatoriu să fie obținută pentru întreg proiectul, conform legii. „Hidroelectrica a încercat să aprobe proiectul pe bucăți, depunând la autoritățile de mediu doar documente pentru partea de construcție rămasă nefinalizată, în acest fel impactul de mediu rămânând neanalizat. În plus, documentația depusă de promotorul proiectului, Hidroelectrica, nu analizează impactul asupra speciilor de plante și animale din Defileul Jiului, doar definește un debit de servitute de 2,7mc/s. Acest debit este prea mic pentru a menține în viață speciile protejate din această arie naturală”, transmite Bankwatch.
Parcul Natural Defileul Jiului adăpostește specii de animale protejate prioritar precum ursul carpatin și croitorul alpin, dar și specii protejate strict precum lupul, râsul, vidra, jderul sau bursucul.
„Întregul ecosistem al defileului este creat de acest râu. Secarea sau un debit prea mic ar avea un efect devastator asupra întregii biodiversități. Reducerea și mai drastică a habitatului și a surselor de hrană crește riscul de conflict dintre om și animale sălbatice, așa cum se întâmplă deja în cazul ursului. Să ne amintim că strategia UE până în 2030 este de creștere a suprafeței ariilor protejate, nu de diminuare a lor, așa cum își doresc parlamentarii”, a spus Gabriel Păun, președintele AgentGreen.
Pentru a putea legitima construcția hidrocentralei de pe Jiu și a altora, precum Răstolița, a fost depus un proiect de lege care urmărește să modifice limitele siturilor Natura 2000 în cauză. „Este o lege anti-natură”, spun ecologiștii, care argumentează că amenajarea hidroenergetică de pe Jiu ar avea un aport nesemnificativ la sistemul energetic național, mai ales în comparație cu efectele de mediu severe.
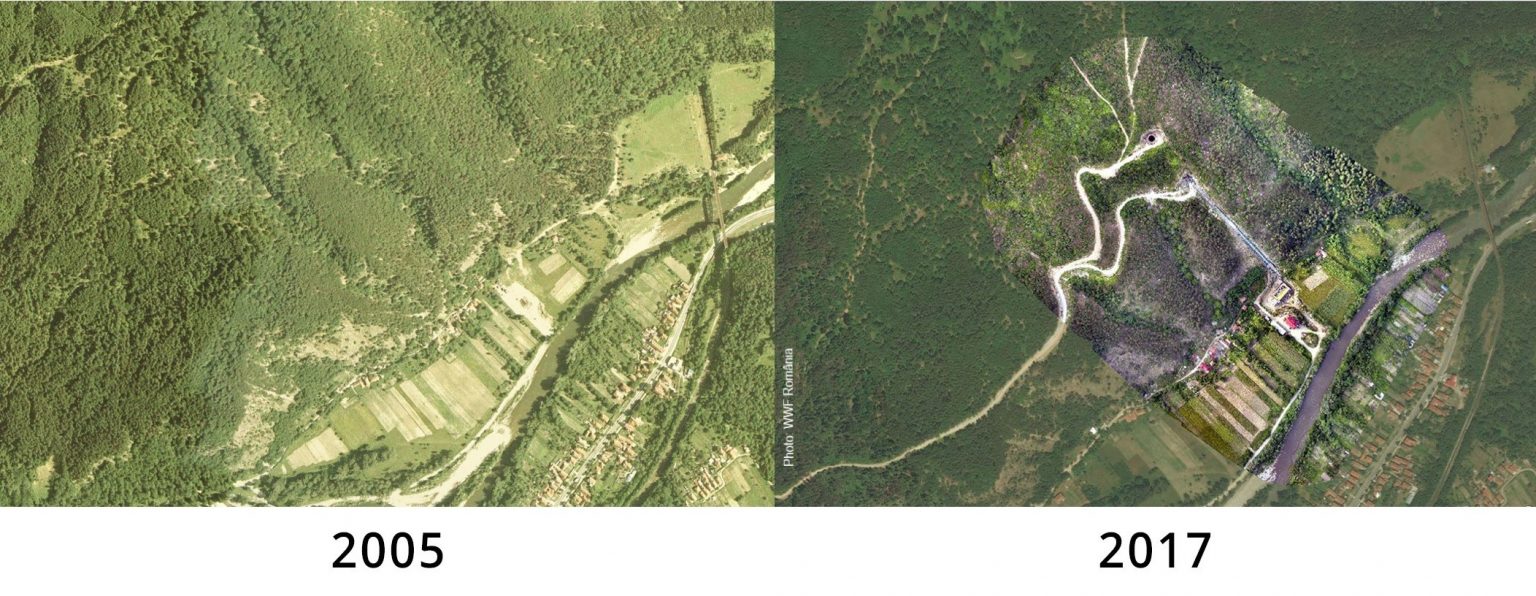
Amenajarea hidroenergetică de pe Jiu presupune construirea unui baraj şi a unei microhidrocentrale la Livezeni şi a 2 centrale hidroelectrice la Dumitra şi Bumbeşti Jiu. Lucrările au început în 2004 şi ar fi realizate în proporţie de 90%, potrivit Hidroelectrica. Cazul urmează să fie rejudecat la Tribunalul București.
I.I.

































Victoria este pentru Jiu si pentru localnici, care mai au o sansa sa traiasca din turism si sa aiba un cadru natural frematand de viata, nu pentru activisti.